安芸区船越1丁目

2,580万円~2,630万円

広島県広島市安芸区船越1丁目8-

芸陽バス「入川(広島県)」バス停

価格
2,580万円~2,630万円
土地面積(坪数)
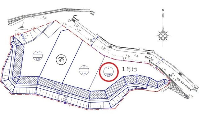
224.46㎡~277.73㎡(67.89坪~84.01坪)
所在地
広島県広島市安芸区船越1丁目8-
築年
-(-)
駐車
-
交通

芸陽バス「入川(広島県)」バス停下車 徒歩8分

安芸区船越1丁目の基本情報

物件名
安芸区船越1丁目
価格
2,580万円~2,630万円
土地面積
224.46㎡~277.73㎡
築年月
-(-)
総区画数
-
所在地
広島県広島市安芸区船越1丁目8-
交通

芸陽バス「入川(広島県)」バス停下車 徒歩8分

安芸区船越1丁目の詳細情報

設備条件
  • 閑静な住宅地
設備(その他)
    -
駐車場/月額
-/-
土地権利
所有権
国土法届出
不要
用途地域
第二種中高層住居専用
区画数
- / -
管理形態
-
管理員の勤務形態
-
管理会社
-
取引態様
一般媒介
引渡し
即時
開発許可番号
-

安芸区船越1丁目のコメント(おすすめポイント)

商品券最大15万円分をプレゼント!
【優良不動産販売でのご成約の特典♪】
※物件により手数料の10%分相当額

変動金利 『0.95%』 をご紹介!!
※借入には一定の条件があります。
 審査の結果により条件が異なる場合があります。
その他、住宅ローンにマイカーローンやカードローンの残債を組み込んだり、
スーパーなどでのお買い物が5%OFFになる銀行のご提案も可能♪
◆知らずに、損している…??ローンが組めるか不安…色々な疑問にお答えします!
◆「お子様・女性にやさしい店づくり」◆
私たちは、自分の家族・友人など
大切な人と住まいを探すように…
同じ想いで、お手伝いさせて頂きます!

1.店内をくつろげる【カフェ型】に改装しました♪
2.しつこい押し売り営業はしません!!
3.専門用語を使わずに【お客様目線】で対応致します。
4.良い点・悪い点もプロとして情報提供します。
5.不安を抱えたまま契約を進める事はございません。
6.ベストな住宅ローンの資金計画をご提案します。
7.ご成約キャンペーン中☆

◎最大40%の値引き!!
ソファー・机・インテリア雑貨・カーテン等の家具を、
提携店をご紹介し、優待価格で購入できます♪

安芸区船越1丁目で募集中の物件

  1. 67.89坪 (224.46㎡)

    2,580万円(38万円/坪)

  2. 84.01坪 (277.73㎡)

    2,630万円(31.31万円/坪)

近隣の物件

  1. 広島市安芸区上瀬野2丁目

    - (1014.59㎡)

    3,500万円

  2. 広島市安芸区矢野南4丁目

    - (159.00㎡)

    2,315万円

  3. 広島市安芸区中野東6丁目

    - (171.00㎡)

    1,200万円

  4. 広島市安芸区矢野西3丁目

    - (290.52㎡)

    1,820万円

よく見られている物件

  1. 広島市西区東観音町

    - (352.60㎡)

    9,800万円

  2. 広島市南区皆実町1丁目

    - (106.16㎡)

    3,500万円

  3. 広島市南区宇品西1丁目

    - (63.83㎡)

    1,550万円

  4. 安芸郡府中町桃山2丁目

    - (96.91㎡)

    2,800万円

安芸区船越1丁目

お気軽にお問い合わせください

無料お問い合わせ

優良不動産販売 株式会社

082-250-0277

10:00~19:00

(休:木曜日・第1・3・5水曜日)