矢野西3丁目

1,000万円~1,860万円

広島県広島市安芸区矢野西3丁目46-7

呉線「矢野」駅徒歩16分

広島電鉄「矢野ニュータウン入口」バス停

広島電鉄「矢野駅入口」バス停

価格
1,000万円~1,860万円
土地面積(坪数)
159.35㎡~359.87㎡(48.2坪~108.86坪)
所在地
広島県広島市安芸区矢野西3丁目46-7
築年
-(-)
駐車
-
交通

呉線矢野」駅 徒歩16分

広島電鉄「矢野ニュータウン入口」バス停下車 徒歩9分

広島電鉄「矢野駅入口」バス停下車 徒歩10分

矢野西3丁目の基本情報

物件名
矢野西3丁目
価格
1,000万円~1,860万円
土地面積
159.35㎡~359.87㎡
築年月
-(-)
総区画数
-
所在地
広島県広島市安芸区矢野西3丁目46-7
交通

呉線矢野」駅 徒歩16分

広島電鉄「矢野ニュータウン入口」バス停下車 徒歩9分

広島電鉄「矢野駅入口」バス停下車 徒歩10分

矢野西3丁目の詳細情報

設備条件
  • 閑静な住宅地
設備(その他)
    -
駐車場/月額
-/-
土地権利
所有権
国土法届出
不要
用途地域
第一種低層住居専用
区画数
- / -
管理形態
-
管理員の勤務形態
-
管理会社
-
取引態様
一般媒介
引渡し
即時
開発許可番号
-

矢野西3丁目のコメント(おすすめポイント)

商品券最大15万円分をプレゼント!
【優良不動産販売でのご成約の特典♪】
※物件により手数料の10%分相当額

変動金利 『0.635%』 をご紹介!!
※借入には一定の条件があります。
 審査の結果により条件が異なる場合があります。
その他、住宅ローンにマイカーローンやカードローンの残債を組み込んだり、
スーパーなどでのお買い物が5%OFFになる銀行のご提案も可能♪
◆知らずに、損している…??ローンが組めるか不安…色々な疑問にお答えします!
◆「お子様・女性にやさしい店づくり」◆
私たちは、自分の家族・友人など
大切な人と住まいを探すように…
同じ想いで、お手伝いさせて頂きます!

1.店内をくつろげる【カフェ型】に改装しました♪
2.しつこい押し売り営業はしません!!
3.専門用語を使わずに【お客様目線】で対応致します。
4.良い点・悪い点もプロとして情報提供します。
5.不安を抱えたまま契約を進める事はございません。
6.ベストな住宅ローンの資金計画をご提案します。
7.ご成約キャンペーン中☆

◎最大40%の値引き!!
ソファー・机・インテリア雑貨・カーテン等の家具を、
提携店をご紹介し、優待価格で購入できます♪

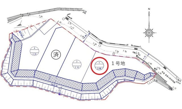
矢野西3丁目で募集中の物件

  1. 50.21坪 (166.00㎡)

    1,000万円(19.92万円/坪)

  2. 1

    87.88坪 (290.52㎡)

    1,820万円(20.71万円/坪)

  3. 108.86坪 (359.87㎡)

    1,820万円(16.72万円/坪)

  4. 48.20坪 (159.35㎡)

    1,860万円(38.59万円/坪)

周辺施設

  • 広島市立矢野小学校の画像

    小学校

    広島市立矢野小学校

    1980m(25分)

近隣の物件

  1. 広島市安芸区上瀬野2丁目

    - (1014.59㎡)

    3,500万円

  2. 広島市安芸区矢野南4丁目

    - (159.00㎡)

    2,315万円

  3. 広島市安芸区船越1丁目

    - (224.46㎡)

    2,580万円

  4. 広島市安芸区中野東6丁目

    - (171.00㎡)

    1,200万円

よく見られている物件

  1. 広島市西区東観音町

    - (352.60㎡)

    9,800万円

  2. 広島市南区宇品西1丁目

    - (63.83㎡)

    1,550万円

  3. 安芸郡府中町桃山2丁目

    - (96.91㎡)

    2,800万円

  4. 広島市南区皆実町1丁目

    - (106.16㎡)

    3,500万円

矢野西3丁目

お気軽にお問い合わせください

無料お問い合わせ

優良不動産販売 株式会社

082-250-0277

10:00~19:00

(休:木曜日・第1・3・5水曜日)