広島市安佐南区高取南1丁目 

1,080万円~1,180万円

広島県広島市安佐南区高取南1丁目37-

バス「安西高校下」バス停

広島高速交通アストラムライン「長楽寺」駅徒歩20分

広島高速交通アストラムライン「高取」駅徒歩20分

価格
1,080万円~1,180万円
土地面積(坪数)
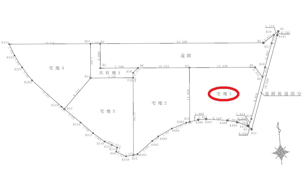
142.35㎡~160.70㎡(43.06坪~48.61坪)
所在地
広島県広島市安佐南区高取南1丁目37-
築年
-(-)
駐車
-
交通

バス「安西高校下」バス停下車 徒歩9分

広島高速交通アストラムライン長楽寺」駅 徒歩20分

広島高速交通アストラムライン高取」駅 徒歩20分

広島市安佐南区高取南1丁目 の基本情報

物件名
広島市安佐南区高取南1丁目 
価格
1,080万円~1,180万円
土地面積
142.35㎡~160.70㎡
築年月
-(-)
総区画数
4区画
所在地
広島県広島市安佐南区高取南1丁目37-
交通

バス「安西高校下」バス停下車 徒歩9分

広島高速交通アストラムライン長楽寺」駅 徒歩20分

広島高速交通アストラムライン高取」駅 徒歩20分

広島市安佐南区高取南1丁目 の詳細情報

設備条件
  • 閑静な住宅地
設備(その他)
    -
駐車場/月額
-/-
土地権利
所有権
国土法届出
不要
用途地域
第一種低層住居専用
区画数
4区画 / 4戸
管理形態
-
管理員の勤務形態
-
管理会社
-
取引態様
一般媒介
引渡し
即時
開発許可番号
-

広島市安佐南区高取南1丁目 のコメント(おすすめポイント)

商品券最大15万円分をプレゼント!
【優良不動産販売でのご成約の特典♪】
※物件により手数料の10%分相当額

変動金利 『0.95%』 をご紹介!!
※借入には一定の条件があります。
 審査の結果により条件が異なる場合があります。
その他、住宅ローンにマイカーローンやカードローンの残債を組み込んだり、
ローン期間中にスーパーなどでのお買い物が5%OFFになる銀行のご提案も可能♪
◆知らずに、損している…??◆
・年収によってどの位の物件が買えるの?
・頭金が無いけどマイホームは購入可能?
・勤続年数や自営業で不安なんだけど・・・
など色々な疑問にお答え致します!!

◆「お子様・女性にやさしい店づくり」◆
私たちは、自分の家族・友人など
大切な人と住まいを探すように…
同じ想いで、お手伝いさせて頂きます!

1.店内をくつろげる【カフェ型】に改装しました♪
2.しつこい押し売り営業はしません!!
3.専門用語を使わずに【お客様目線】で対応致します。
4.良い点・悪い点もプロとして情報提供します。
5.不安を抱えたまま契約を進める事はございません。
6.ベストな住宅ローンの資金計画をご提案します。
7.ご成約キャンペーン中☆

◎最大40%の値引き!!
ソファー・机・インテリア雑貨・カーテン等の家具を、
優良不動産販売の提携店を紹介し、価格で購入できます♪
LINEでのお問い合わせは、『@760efnye』で検索

◎物件が決まる前に、仮審査のみの受付もしております。
◎住宅ローン相談会も開催中です。

SUUMOに載っていない物件も
   多数ご紹介できます!
優良不動産販売HP https://yuryo-fudousan.com

・お急ぎの方は担当の携帯
  080-4379-2172 大江
 まで直接ご連絡下さい♪

広島市安佐南区高取南1丁目 で募集中の物件

  1. 45.54坪 (150.55㎡)

    1,080万円(23.72万円/坪)

  2. 45.72坪 (151.17㎡)

    1,180万円(25.81万円/坪)

  3. 48.61坪 (160.70㎡)

    1,180万円(24.27万円/坪)

  4. 43.06坪 (142.35㎡)

    1,180万円(27.4万円/坪)

近隣の物件

  1. 広島市安佐南区山本4丁目

    - (112.34㎡)

    2,380万円

  2. 広島市安佐南区上安2丁目

    - (117.40㎡)

    1,881万円

  3. 広島市安佐南区西原6丁目

    - (847.92㎡)

    22,500万円

  4. 広島市安佐南区八木9丁目

    - (145.51㎡)

    1,290万円

よく見られている物件

  1. 安芸郡府中町桃山1丁目

    - (103.95㎡)

    3,980万円

  2. 広島市南区宇品西1丁目

    - (63.83㎡)

    1,550万円

  3. 広島市西区東観音町

    - (352.60㎡)

    9,800万円

  4. 安芸郡府中町桃山2丁目

    - (96.91㎡)

    2,800万円

広島市安佐南区高取南1丁目 

お気軽にお問い合わせください

無料お問い合わせ

優良不動産販売 株式会社

082-250-0277

10:00~19:00

(休:木曜日・第1・3・5水曜日)